鳥取ファクトリー Tottori Factory
工業用地マップ
西部の工業用地
1 竹内(たけのうち)工業団地(境港市)
県が造成した大規模団地。水産加工業等の集積と港湾機能の充実が魅力です。
詳しくみる
2 林之峯3工業団地(大山町)
山陰道中山ICから7kmのところにある、工業団地です。
詳しくみる
3 大原企業用地(伯耆町)
大山高原スマートICから4kmのところにあり、スムーズな物流が可能です。
詳しくみる
4 岸本工業団地(伯耆町)
大山高原スマートICから1kmのところにあり、交通アクセスに優れた用地です。
詳しくみる
中部の工業用地
5 旧北溟中学校跡地
山陰自動車道はわいICに近接し、スムーズな物流と、周囲の生活関連施設が魅力です。
詳しくみる
東部の工業用地
6 布袋(ほてい)工業団地(鳥取市)
鳥取自動車道鳥取南I.C隣接。
特に京阪神への交通アクセスに優れた工業団地です。
詳しくみる
7 山手工業団地(鳥取市)
鳥取自動車道河原ICや国道53号にも隣接しており、鳥取空港からも車で約30分の距離にある、利便性にすぐれた工場用地です。
詳しくみる
8 智頭テクノパーク(智頭町)
鳥取自動車道智頭ICから5kmの場所にあり、国道53号に隣接しています。
詳しくみる
動画
1 竹内(たけのうち)工業団地(境港市)
| 名称 | 境港外港竹内地区工業団地 | |
|---|---|---|
| 所在地 | 境港市竹内団地 | |
| 事業主体 | 鳥取県企業局 | |
| 用水 | 工業用水25,000立方メートル/日 | |
| 排水 | 境港市下水道(場所により利用可能) | |
| 電力 | 6.6kV線に隣接、境港変電所まで2km | |
| その他 | 光ファイバー(100Mbps) | |
| 面積(ha) | 総面積 | 128.6 |
| 用地面積 | 78.3 | |
| 分譲済面積 | 74.2 | |
| 分譲可能面積 | 4.1 | |
| 分譲価格 |
9,500~12,340円/平方メートル(割賦支払可)
賃貸料412~535円/平方メートル・年 |
|
| 現 状 | 造成済 | |
| 造成・分譲時期等 | 分譲中 | |
| 詳細図 |
|
|
| 立地企業 (業務内容) |
|
|
| 分譲区画 |
|
|
| 交通アクセス | 空港 | 米子空港から4km |
| 車 | 米子自動車道米子ICから18km | |
| 電車 | JR境線余子駅から1km | |
| 船 | 境港から2km | |
2 林之峯3工業団地(大山町)
| 所在地 | 西伯郡大山町下市 | |
|---|---|---|
| 事業主体 | 大山町 | |
| 用水 | 個別対応 | |
| 排水 | 自社処理 | |
| 電力 | 6.6kV線に隣接 | |
| 面積(ha) | 総面積 | 3.3 |
| 用地面積 | 3.3 | |
| 分譲済面積 | 0 | |
| 分譲可能面積 | 3.3 | |
| 分譲価格 | 未定 | |
| 現 状 | 原野 | |
| 造成・分譲時期等 | 造成済(民間所有) | |
| 詳細図 |
|
|
| 分譲区画 | 全体:33,000平方メートル | |
| 交通アクセス | 空港 | 米子空港から38km |
| 車 | 山陰道中山ICから7km | |
| 電車 |
JR山陰本線下市駅から4km
JR山陰本線米子駅から28km |
|
| 船 | 境港から42km | |
3 大原企業用地(伯耆町)
| 所在地 | 西伯郡伯耆町大原 | |
|---|---|---|
| 事業主体 | 伯耆町 | |
| 事業手法 | 任意買収事業 | |
| 用水 | 伯耆町上水道50立方メートル/日(要相談) | |
| 排水 |
自社処理後、伯耆町下水道へ排水(要相談) ※雨水排水は分流式で設置すること |
|
| 電力 | 6.6kV線に隣接、大山配管塔(6MVA)まで6km | |
| その他 | 光ケーブル敷設済(近隣まで)、CATV敷設済(近隣まで) | |
| 面積(ha) | 総面積 | 15.5 |
| 用地面積 | 3.4 | |
| 分譲済面積 | 1.2 | |
| 分譲可能面積 | 2.2 | |
| 分譲価格 | 9,000円/平方メートル(価格相談可、賃貸可) | |
| 現 状 | 粗造成済 | |
| 造成・分譲時期等 | 分譲中 | |
| 詳細図 |
|
|
| 立地企業 (業務内容) |
(1)アストロデザイン(株)(画像処理)
(2)スリーエステクノ(株)(繊維状面発熱体) |
|
| 分譲区画 |
A:5,000平方メートル
B:3,000平方メートル C:4,000平方メートル D:6,000平方メートル E:4,000平方メートル |
|
| 交通アクセス | 空港 | 米子空港から23km |
| 車 | 米子自動車道大山高原スマートICから3km | |
| 電車 | JR伯備線岸本駅から4km | |
| 船 | 境港から28km | |
4 岸本工業団地(伯耆町)
| 所在地 | 西伯郡伯耆町岸本 | |
|---|---|---|
| 事業主体 | 伯耆町 | |
| 事業手法 | 任意買収事業 | |
| 用水 | 伯耆町上水道50立方メートル/日(要相談) | |
| 排水 |
自社処理後、伯耆町下水道へ排水(要相談)
※雨水排水は分流式で設置すること |
|
| 電力 | 6.6kV線に隣接 | |
| その他 | 光ケーブル敷設済(近隣まで)、CATV敷設済(近隣まで) | |
| 面積(ha) | 総面積 | 5.0 |
| 用地面積 | 1.0 | |
| 分譲済面積 | 0 | |
| 分譲可能面積 | 1.0 | |
| 分譲価格 | 6,000円/平方メートル(価格相談可、賃貸可) | |
| 現 状 | 原野(粗造成済)※都市計画法開発手続要 | |
| 造成・分譲時期等 | 分譲中 | |
| 詳細図 |
|
|
| 分譲区画 | 全体:10,000平方メートル | |
| 交通アクセス | 空港 | 米子空港から20km |
| 車 | 米子自動車道大山高原スマートICから1km | |
| 電車 | JR伯備線岸本駅から1km | |
| 船 | 境港から25km | |
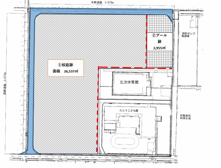
5 旧北溟中学校跡地
| 所在地 | 東伯郡湯梨浜町大字田後、はわい長瀬 | |
|---|---|---|
| 事業主体 | 湯梨浜町 | |
| 事業手法 | 民間提案制度 | |
| 用水 | 湯梨浜町上水道(個別対応、要相談) | |
| 排水 |
自社処理後、湯梨浜町下水道へ排水(要相談)
※雨水排水は分流式で設置すること |
|
| 電力 | 6.0kV線隣接 | |
| その他 |
ガス/個別プロパンガス 光ケーブル敷設済(近隣まで) |
|
| 面積(ha) | 総面積 | 2.9 |
| 用地面積 | 2.9 | |
| 分譲済面積 | 0 | |
| 分譲可能面積 | 2.9 | |
| 分譲価格 |
①校庭跡 約2.6ha 12,600円/㎡ 金334,366,200円 ②プール跡 約0.3ha 10,000円/㎡ 金 29,550,000円 ※賃借応相談 |
|
| 現 状 | 更地 | |
| 事前相談 | 令和7年12月1日(月)~令和8年3月19日(木) | |
| 申込書類の受付 | 令和8年3月23日(月)~4月24日(金) | |
| 詳細図 |
|
|
| 交通アクセス | 空港 |
鳥取砂丘コナン空港から32㎞ 米子鬼太郎空港から67㎞ |
| 車 | 山陰道はわいICから1.5㎞ | |
| 電車 | JR山陰本線倉吉駅から5km | |
| 船 | 鳥取港から36㎞ 境港港から66㎞ |
|
7 山手工業団地(鳥取市)
| 所在地 | 鳥取県鳥取市河原町山手 | |
|---|---|---|
| 事業主体 | 鳥取市 | |
| 用水 | 鳥取市水道局(地域全体の供給可能水量500平方メートル/日) | |
| 排水 | 鳥取市公共下水道(地域全体の処理能力300平方メートル/日) | |
| 電力 | 6.6kV線隣接 | |
| その他 | 個別プロパンガス | |
| 面積(ha) | 総面積 | 7.5 |
| 用地面積 | 7.5 | |
| 分譲済面積 | 4.0 | |
| 分譲可能面積 | 3.5 | |
| 分譲価格 | 70,000円程度/坪 | |
| 現 状 | 造成完了 | |
| 造成・分譲時期等 | 分譲中 | |
| 詳細図 |
|
|
| 立地企業 (業務内容) |
(1)(株)イナテック鳥取(自動車用トランスミッション部品の製造)
(2)(株)城洋(産業用、舶用、航空用等の精密機械部品の製造・加工) |
|
| 分譲区画 |
A:約14,000平方メートル
B:約21,000平方メートル |
|
| 交通アクセス | 空港 | 鳥取空港から19km 車で約30分 |
| 車 |
国道53号線から1km
鳥取自動車道河原I.Cから1km 中国自動車道佐用JCTから50km |
|
| 電車 | JR鳥取駅から13km 車で約20分 | |
| 船 | 鳥取港から19km 車で約30分 | |
6 布袋(ほてい)工業団地(鳥取市)
| 所在地 | 鳥取市河原町布袋 | |
|---|---|---|
| 事業主体 | 鳥取市 | |
| 用水 | 鳥取市水道局 上水道 地下水取水可能(県条例に基づく届出必要) | |
| 排水 | 鳥取市公共下水道(大量の場合は自社処理後、側溝へ排水) | |
| 電力 | 6.0kV線隣接 | |
| その他 | ガス/個別プロパンガス(使用量によってLNGサテライト供給等で対応可) | |
| 面積(ha) | 総面積 | 18.5 |
| 用地面積 | 13.5 | |
| 分譲済面積 | 6.0 | |
| 分譲可能面積 | 4.0 | |
| 分譲価格 | 50,000円程度/坪 | |
| 現 状 | 造成完了 | |
| 造成・分譲時期等 | 分譲中 | |
| 詳細図 |
|
|
| 立地企業 (業務内容) |
(1)マルサンアイ鳥取(株)(豆乳、飲料およびその他食品の開発、製造、販売)
(2)(株)ササヤマ(難加工材向けプレス金型の開発、プレス金型の設計・製作) (3)(株)円山菓寮(菓子製品の製造、販売) (4)イムラ精工(有)(金属加工機械の製造) |
|
| 分譲区画 | 約40,000平方メートル | |
| 交通アクセス | 空港 | 鳥取空港から15km |
| 車 |
鳥取自動車道鳥取南IC直結
中国自動車道佐用JCTから55km 国道53号隣接 |
|
| 電車 | JR山陰本線鳥取駅から9km | |
| 船 | 鳥取港から15km | |
8 智頭テクノパーク(智頭町)
| 所在地 | 八頭郡智頭町大字三田地内 | |
|---|---|---|
| 事業主体 | 智頭町 | |
| 用水 |
上水道(誘致に併せて整備)
地下水130t/日(飲料水以外) |
|
| 排水 |
自社処理後、河川に放流
生活雑排水については下水道で処理(誘致に併せて整備) |
|
| 電力 | 6.6kV線に隣接 | |
| 面積(ha) | 総面積 | 4.0 (法面を除いた面積) |
| 用地面積 | 4.0 | |
| 分譲済面積 | 2.5 | |
| 分譲可能面積 | 1.5 | |
| 分譲価格 | 約9,000円/平方メートル(賃貸応相談) | |
| 現 状 | 造成済 | |
| 造成・分譲時期等 | 分譲中 | |
| 詳細図 |
|
|
| 立地企業 (業務内容) |
(1)介護付き有料老人ホーム すわの郷(有料老人ホーム)
(2)宅地 |
|
| 分譲区画 | A:14,900平方メートル | |
| 交通アクセス | 空港 | 鳥取空港から37km |
| 車 |
鳥取自動車道智頭ICから5km
国道53号に隣接 |
|
| 電車 | JR因美線智頭駅から2km | |
| 船 | 鳥取港から37km | |